Description
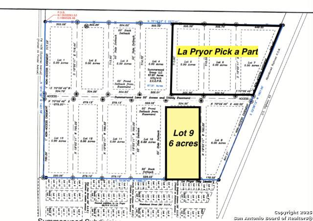
New "Summerwood Subdivision" in La Pryor, Tx offering unrestricted lots from 1-6 acres. This Lot 9 is suitable for a residential homesite, commercial, agriculture or whatever you choose as it is unrestricted. Water and electricity will be available at the street. Property tax information is not yet available as taxes have not been assessed yet.
-
0BEDS
-
6ACRES
-
0BATHS
-
01/2 BATHS
School Information
Description
New "Summerwood Subdivision" in La Pryor, Tx offering unrestricted lots from 1-6 acres. This Lot 9 is suitable for a residential homesite, commercial, agriculture or whatever you choose as it is unrestricted. Water and electricity will be available at the street. Property tax information is not yet available as taxes have not been assessed yet.
© 2025 San Antonio Board of REALTORS® All rights reserved. IDX information is provided exclusively for consumers' personal, non-commercial use and may not be used for any purpose other than to identify prospective properties consumers may be interested in purchasing. Information is deemed reliable but is not guaranteed accurate by the MLS or Prolific Realty. Last updated 2025-12-05T23:33:01.023.
